戸建物件 3,980万円

担当者より
石垣島の穏やかな風と陽光に包まれた、静かな住宅地に佇む平家住宅。 太陽光発電設備(5.9KW)付きで、環境にも家計にもやさしい暮らしが叶います。※上記土地面積以外に侵入口部分(78.38㎡共有持ち分)を対象不動産に含みます※室内のご見学は予約制となります
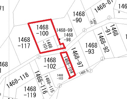
| 所在地 | 石垣市字新川1468番地100 |
|---|---|
| 地域 / 学区 | 新川 / 真喜良学区 |
| 権利 | 所有権 |
| セットバック | |
| 接道状況 | 東側公道(農道) |
| 建物構造 | その他 (コンクリートブロック造陸屋根平家建) |
| 借地料 | |
| 引渡時期 | 相談 |
| 価格 | 3,980万円 |
|---|---|
| 土地面積 | 278.92㎡ (84.37坪) |
| 間取り | 2LDK |
| 建物面積 | 61.63㎡ (18.64坪) |
| 築年月 | 2015年12月(築10年) |
| 所在地 | 石垣市字新川1468番地100 |
| 建ぺい率 | 60% |
| 容積率 | 200% |
| 幅員 | 4m |
| 接道長さ | 2m |
| 地目 | 宅地 |
|---|---|
| 都市計画 | 未線引区域 |
| 用途地域 | 無指定 |
| 取引態様 | 媒介(仲介) |
| 水道 | 前面道路有 |
|---|---|
| 電気 | 沖縄電力 |
| ガス | プロパンガス |
| 下水 | 浄化槽設置必須 |
| 物件番号 |
掲載されている物件データが現況と異なる場合は現況を優先します。
弊社は予約優先です。予約のない方はお待ちいただく場合がございます。事前予約の方は、ご案内含め全てスムーズに進みます。